Ένα χρόνιο πολεοδομικό ζήτημα στην περιοχή Διονυσίου Σολωμού & Παπαφλέσσα της Αλεξανδρούπολης φαίνεται να βρίσκει επιτέλους λύση.
Ο Γιάννης Ναϊτίδης, αντιδήμαρχος Τεχνικών Υπηρεσιών, ανέφερε ότι πρόκειται για ένα πρόβλημα που για χρόνια φαινόταν άλυτο και για το οποίο πολλοί αμφισβητούσαν ότι θα μπορούσε να λυθεί. «Κι όμως — αγωνιστήκαμε, επιμείναμε και τα καταφέραμε», σημείωσε χαρακτηριστικά.

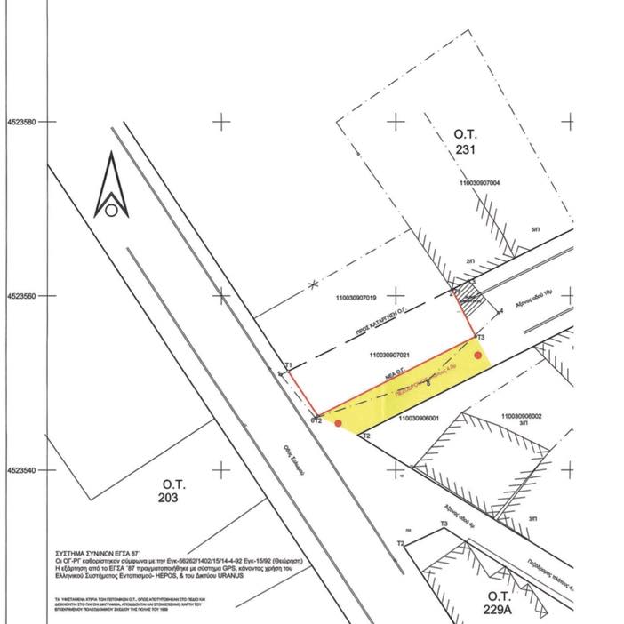
Με τη δημοσίευση του ΦΕΚ Δ’ 871/05.11.2025 και σύμφωνα με την υπ’ αριθμ. 116/2024 Απόφαση του Δημοτικού Συμβουλίου Αλεξανδρούπολης, ολοκληρώθηκε η τροποποίηση του εγκεκριμένου ρυμοτομικού σχεδίου στα Οικοδομικά Τετράγωνα 229 και 231, λόγω αυτοδίκαιης άρσης απαλλοτρίωσης.
Η επιμονή του Δημάρχου Αλεξανδρούπολης, Γιάννη Ζαμπούκη, σε συνδυασμό με τη συστηματική εργασία της Τεχνικής Υπηρεσίας του Δήμου, οδήγησαν στην επίλυση ενός ζητήματος που επηρεάζει την καθημερινότητα και την ποιότητα ζωής των κατοίκων της περιοχής.
Όπως επισημαίνεται, με σχέδιο, συνεργασία και επιμονή, ο Δήμος συνεχίζει να δίνει λύσεις σε χρόνια προβλήματα, ενισχύοντας την ασφάλεια και τη λειτουργικότητα των γειτονιών της Αλεξανδρούπολης.

























